VISIA Skin Analysis Melbourne
VISIA allows us to see and understand the condition of your skin, both at the surface and beneath it. Too often, skin treatments are chosen without objective measurements to guide them. By using VISIA technology, we gain valuable insights into key skin concerns such as UV damage, pigmentation (including age spots), facial redness, pores, wrinkles, porphyrins (bacteria-related build up), and overall texture. Over time, it also enables us to track and demonstrate changes in these areas as a result of your treatments.
How does it work?
VISIA works by capturing high-resolution images of the skin’s surface using advanced technology. The device uses specialised lighting to reveal details of the skin’s condition that are not visible to the naked eye. This includes a UV flash that follows the path of UV light from the sun and reveals underlying skin damage not visible under regular lighting conditions.
During the analysis, the patient sits in front of the device while the camera captures facial images from three angles. The software then analyses the images and provides a detailed report on the skin’s condition. The report identifies various skin characteristics such as wrinkles, fine lines, pores, skin texture, facial redness, pigmentation irregularities, and UV damage caused by sun exposure. Uniquely the results are then scored as a percentile for future comparisons.
A detailed, comprehensive report of the skin’s condition is provided, identifying the percentile in each category. Based on the analysis, the practitioner can develop a personalised treatment plan with focus on the areas of greater need. It can also help individuals to more proactively manage their skin. For example, by showing the degree of UV damage present (normally not seen by the naked eye), and motivating one to use sunscreen. By visualising and identifying potential problems early, the VISIA can help individuals take preventative measures or seek appropriate treatments.

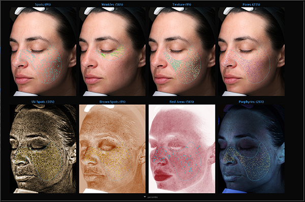
Common skin features detected by the VISIA skin analysis
By identifying the below skin features, VISIA skin analysis helps practitioners develop personalised treatment plans and products tailored to the individual’s unique needs, helping to improve the skin’s health and appearance.
VISIA skin analysis can detect various skin features, including:
- Red areas: These are areas of skin that appear red or inflamed, often caused by conditions like rosacea or acne.
- Brown spots: Dark patches of skin caused by sun damage, ageing, or genetics.
- Wrinkles: These are lines, creases, and folds in the skin that develop due to ageing, sun exposure, and other environmental factors.
- Texture: The smoothness or roughness of the skin’s surface, which can be affected by factors such as sun damage, acne, and ageing.
- Porphyrins: Bacteria that can cause acne and other skin problems.
- UV spots: These are areas of the skin that have been damaged by prolonged sun exposure, causing spots, discolouration, and uneven texture.
- Pores: Tiny openings on the skin’s surface that allow oil and sweat to escape from the skin’s glands.
What are the benefits analysing the skin?
VISIA skin analysis offers several benefits, including:
- Personalised skin care: The analysis provides a detailed assessment of the skin, including areas that require attention. This information helps practitioners develop a personalised skin care plan for the individual, based on their unique skin concerns and needs.
- Early detection: The analysis can detect early signs of skin damage, including UV damage, brown spots, and wrinkles. Identifying these issues early on can help individuals take preventative measures to avoid further damage and maintain healthy skin.
- Objective analysis: VISIA skin analysis provides an objective assessment of the skin’s condition, free from any biases or subjectivity. This helps individuals understand the true state of their skin and make informed decisions about how to care for it.
- Measurable progress: After undergoing treatment or using specific skin care products, individuals can undergo another VISIA skin analysis to measure their progress. This allows individuals to see the effectiveness of the treatment or products and make any necessary adjustments to their skin care routine.
- Improved outcomes: By identifying specific skin concerns and tailoring treatment plans accordingly, VISIA skin analysis can lead to better outcomes for individuals. It helps individuals achieve healthier, more radiant skin and can address various skin concerns, including wrinkles, fine lines, texture, and pigmentation irregularities.
Overall, VISIA skin analysis can help individuals take a proactive approach to treatments, skin care, prevent further damage, and achieve healthier skin.
What is VISIA skin analysis TruAge?
VISIA TruAge is a feature of the VISIA skin analysis system that uses advanced algorithms to estimate a person’s “TruAge” based on their skin’s condition. The TruAge estimates a person’s biological age, which may differ from their chronological age.
To estimate a person’s TruAge, the VISIA machine takes high-definition images of the skin and analyses the data using advanced algorithms. The analysis considers various factors, including wrinkles, texture, brown spots, red areas, and UV spots. Based on this analysis, the VISIA software calculates a person’s TruAge and provides a detailed report of their skin’s condition and how it compares to others in their age group.
The TruAge feature is designed to provide a more comprehensive assessment of a person’s skin health and help them develop a personalised skin care plan that addresses their unique needs and concerns. By identifying areas of the skin that may contribute to premature ageing, such as sun damage or wrinkles, the TruAge feature can help people take proactive steps to maintain youthful-looking skin and minimise the signs of ageing.
Case study
This is a Visia skin analysis showing the results before and after the use of topical retinoids and niacinamide for a period of 6 months. Noticeable improvements in all skin parameters and overall skin age was seen.
In the example below, the TruSkin age was measured as 51 in October 2022.

After a year of applying a topical retinoid and niacinamide at night, and sunscreen in the morning, the Visia TruSkin age was 38 years. A decrease of 13 years. Being able to measure these results is an invaluable resource for both the patient and the practitioner as a way to measure treatment outcomes and benefits. The below photo was taken in September 2023.


Who is a suitable candidate for VISIA skin analysis?
VISIA skin analysis can benefit anyone who wants to improve their skin’s health and appearance. However, some individuals may find the analysis particularly useful. Suitable candidates for VISIA skin analysis include:
- Individuals with skin concerns: Those with specific skin concerns, such as acne, rosacea, sun damage, or pigmentation irregularities, can benefit from a VISIA skin analysis. The analysis can help identify the underlying causes of these issues and develop a personalised treatment plan to address them.
- Individuals interested in anti-ageing and prevention: Those who want to take a proactive approach to their skin can benefit from VISIA skin analysis. The analysis can identify early signs of skin damage and provide recommendations for preventing further damage and maintaining healthy skin.
- Individuals considering cosmetic treatments: Those who are considering cosmetic treatments such as dermal fillers, anti-wrinkle injections, bio-remodelling injections, bio-stimulating injections, chemical peels or laser skin treatment can benefit from a VISIA skin analysis. The analysis can provide a detailed assessment of the skin’s condition, helping practitioners determine which treatments best suit the individual.
- Individuals who want to track their skin’s progress: Those who want to track their skin’s progress and measure the effectiveness of their treatments and skincare routine can benefit from VISIA skin analysis. The analysis provides a baseline assessment of the skin’s condition, which can be used to track changes over time and adjust treatment and skin care routines as needed.
Overall, anyone can benefit from VISIA skin analysis, regardless of their skin type, age, or skin concerns. It is a non-invasive, objective way to assess the skin’s condition and develop personalised treatment and skin care plans tailored to individual needs.

How to prepare for VISIA skin treatment?
There are no specific preparations needed for VISIA skin analysis. However, there are a few things you can do to ensure the most accurate results:
- Avoid wearing makeup: Your face will be cleansed prior to your skin analysis, however it is also recommended to arrive at your appointment with a clean, makeup-free face. This allows for a clear view of your skin’s natural state, without any interference from cosmetics.
- Avoid excessive sun exposure: Excessive sun exposure can affect the skin’s appearance and may result in inaccurate VISIA skin analysis results. Use sunscreen each day and try to avoid spending time in direct sunlight for at least 48 hours before your appointment.
- Avoid certain skin care products: To ensure accurate results, avoid using certain skin care products in the days leading up to your appointment. This includes exfoliants, retinoids, and acids, as these can affect the skin’s texture and appearance.
- Share any relevant information: Inform your practitioner of any relevant information about your skin, such as recent treatments, medications, or health conditions. This will help ensure the most accurate assessment of your skin’s condition.
- Arrive well-rested and hydrated: Getting enough rest and staying hydrated can help improve the overall health and appearance of your skin. Try to get a good night’s sleep before your appointment and drink plenty of water to keep your skin hydrated.
By following these simple steps, you can help ensure the most accurate results from your VISIA skin analysis.
What to expect during the skin analysis
Your face will be cleansed of any makeup, oils or skin care products to ensure a clear view of your skin. You will then sit in front of the machine and place your chin on the specially designed cradle. The VISIA machine will take images of your skin from different angles, using advanced technology to analyse the skin’s condition, including texture, pores, wrinkles, and pigmentation irregularities.
The VISIA software will analyse the images and provide a detailed assessment of your skin’s condition. Your practitioner will go over the results and images with you and provide recommendations for a personalised treatment plan.
It is recommended to follow-up with VISIA skin analysis at subsequent appointments to track your skin’s progress and adjust your treatment plan or skin care as needed.
Is Visia skin analysis accurate?
VISIA skin analysis is considered to be a highly accurate tool for assessing the condition of the skin. The machine uses high-definition imaging and advanced algorithms to provide a comprehensive assessment of the skin, including factors such as wrinkles, texture, pores, and pigmentation, among others.
The accuracy of the VISIA system is supported by numerous studies¹ ², which have shown that it provides a reliable and objective assessment of the skin’s condition. For example, one study found that the VISIA system was able to accurately identify skin pigmentation and texture changes in patients with melasma, a skin condition that causes dark patches on the skin.
While VISIA can provide valuable insights into the skin’s condition, it should be used in conjunction with a thorough medical history and physical examination to ensure that all aspects of a person’s skin health are considered.
Overall, VISIA skin analysis is a reliable and accurate tool for assessing the condition of the skin, but it should be used in conjunction with other assessments and by a qualified practitioner.
FAQ
How long does a VISIA skin analysis take?
A VISIA skin analysis is typically completed in 10 to 15 minutes which includes the time it takes to cleanse your face, have your VISIA skin analysis images taken and the VISIA to perform its detailed analysis.
forms part of your consultation or treatment appointment.
How long does it take to see results?
The results from your VISIA skin analysis scan can be seen within minutes, as the machine captures high-definition images of the skin and the software analyses the data in real-time. Once analysis is completed, your practitioner will go over the results with you.
How much does VISIA skin analysis cost?
At Victorian Cosmetic Institute there is no charge for patients to have a VISIA skin analysis scan when it is performed as part of their consultation or at their treatment appointment.
Does VISIA skin analysis have side effects?
Since VISIA is a series of high-definition photographs, no reported side effects are associated with the process.
Why choose Victorian Cosmetic Institute as your provider of VISIA skin analysis?
The practitioners at Victorian Cosmetic Institute have years of experience in treating various skin types and concerns using various treatment methods, making them able to tailor a treatment program for you using your VISIA skin analysis results. By properly measuring the skin’s baseline level, and comparing it with the VISIA skin analysis after treatment, it is possible to more objectively assess the results of the treatment performed.
To start the process, simply contact us for an initial consultation, where we will discuss your goals and what to expect. To arrange your consultation, you can book online or call our Customer Care team directly on 1300 863 824.
Last updated May 2025